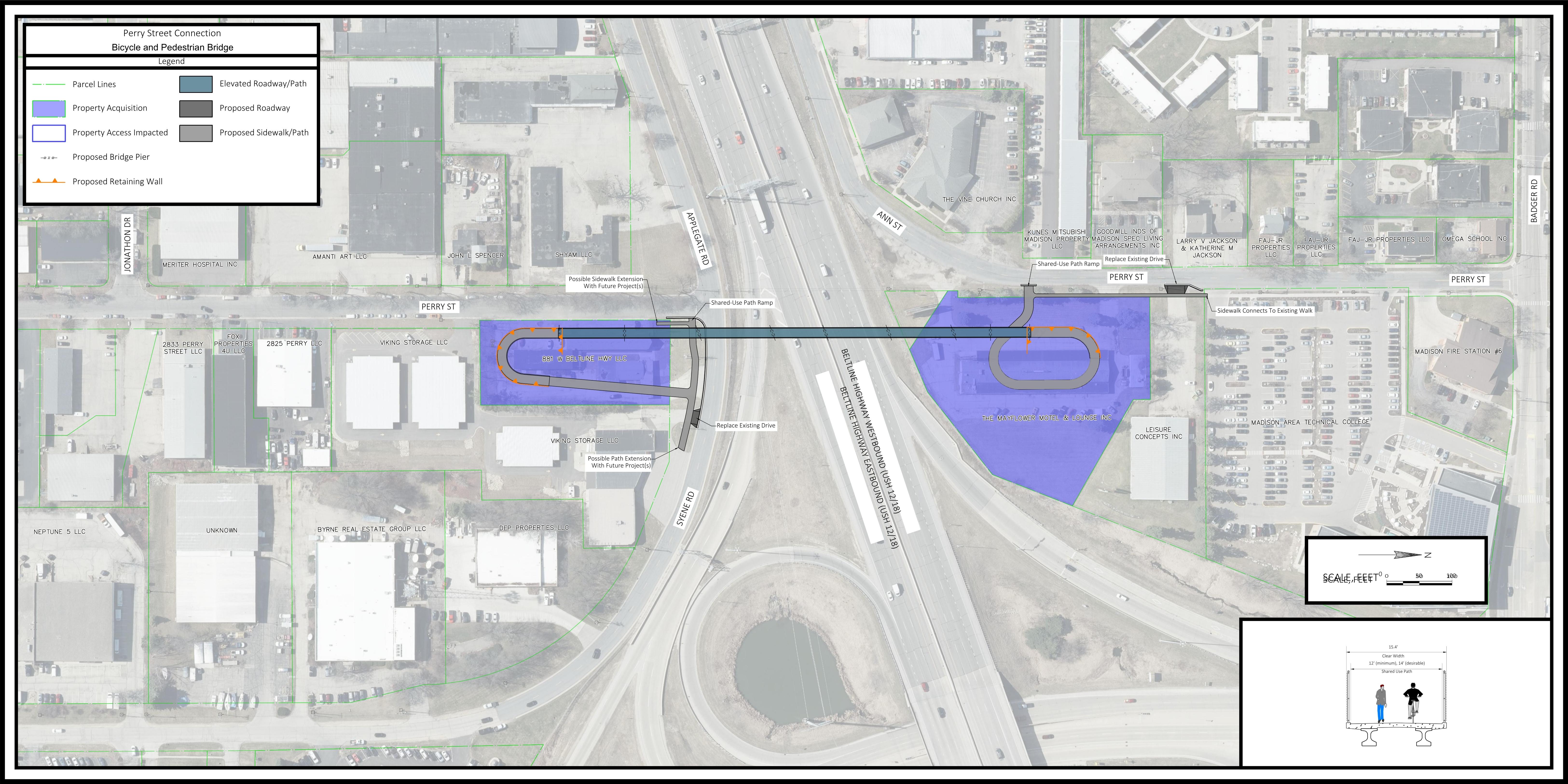
Qhov kev ntsuam xyuas no tab tom tshawb nrhiav txoj kev txuas cov zej zog nyob sab qaum ntawm txoj kev loj Highway Beltline ze txoj kev Perry Street nrog cov chaw ua hauj lwm thiab cov kev pab cuam sab qab ntawm Highway Beltline ze Perry Street.
Cov Thaj Chaw Txwv Txoj Hauj Lwm
Perry Street – W. Badger Road mus rau Jonathon Drive
Syene Rd – Rolfsmeyer Drive mus rau Applegate Road

Thov siv sij hawm ob peb feeb teb cov lus nug hauv qab no. Koj cov tswv yim yuav muaj nqis thiab yuav pab qhia thiab coj txoj kev rau txoj hauj lwm no.
