Skip to content
調查:Perry街連接研究
這項研究正在探索如何將Perry街附近的Beltline高速以北的社區與Perry街附近Beltline高速以南的就業機會和服務連接起來。
項目範圍
Perry 街 – W. Badger路至Jonathon大道
Syene 路 – Rolfsmeyer大道至Applegate路
請花幾分鍾時間回答以下問題。我們非常感謝您的反饋,您的意見將有助于指引項目的發展方向。
1.
請提供您的聯系方式,以便市政府工作人員如有後續疑問時與您聯系。(可選)
姓名:
電話號碼:
電子郵件地址:
郵政編碼:
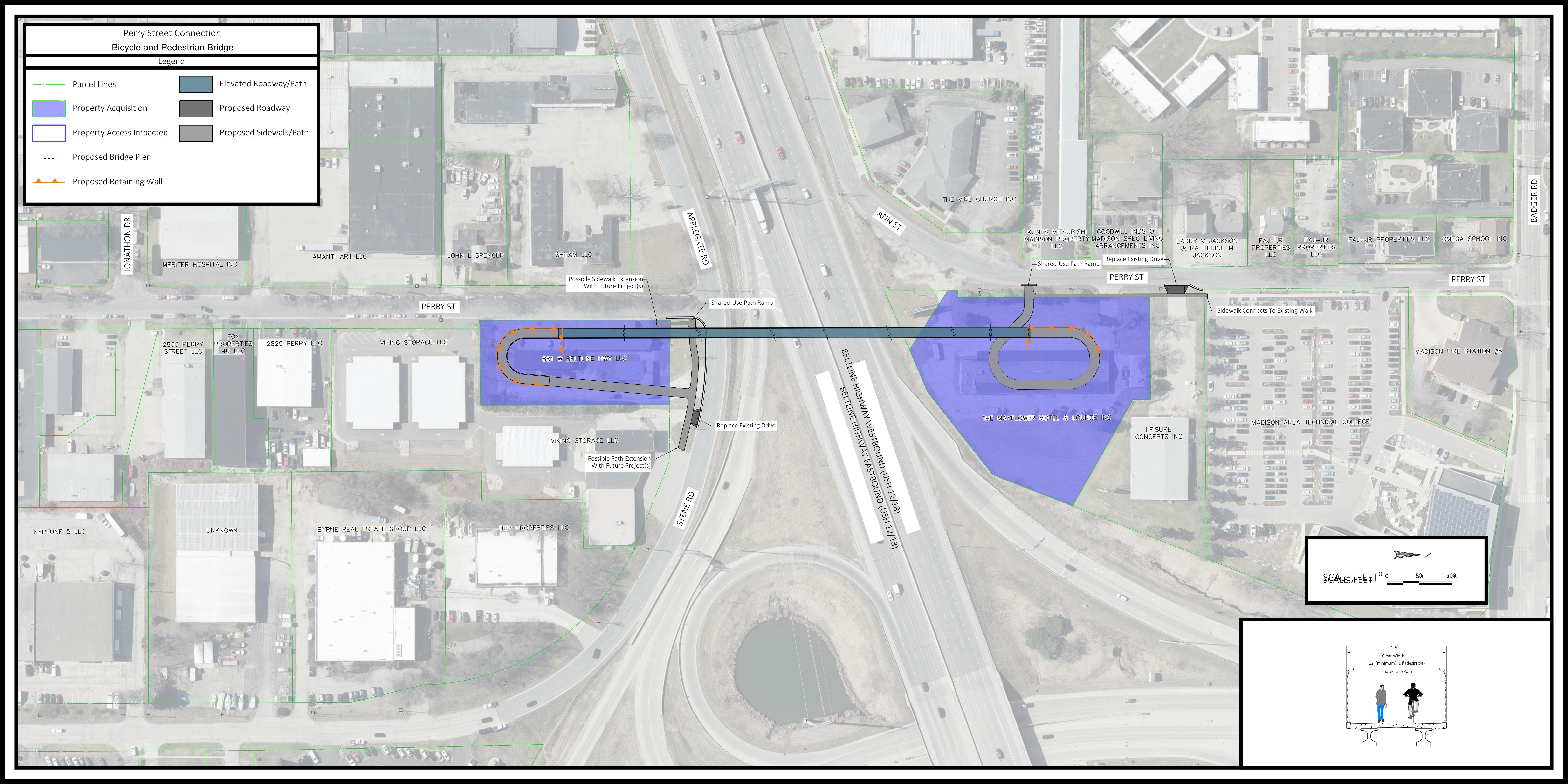
2.
您是否支持以下僅供自行車和行人通行的天橋方案?
支持
能夠接受
不支持 說明
3.
您是否支持以下公路橋方案?該方案連接Perry街與Syene路,並兼顧公共交通、機動車輛、自行車及行人通行需求?
支持
能夠接受
不支持 說明
4.
您對這個項目還有其他意見或疑慮想與我們分享嗎?如有,請在下方填寫。