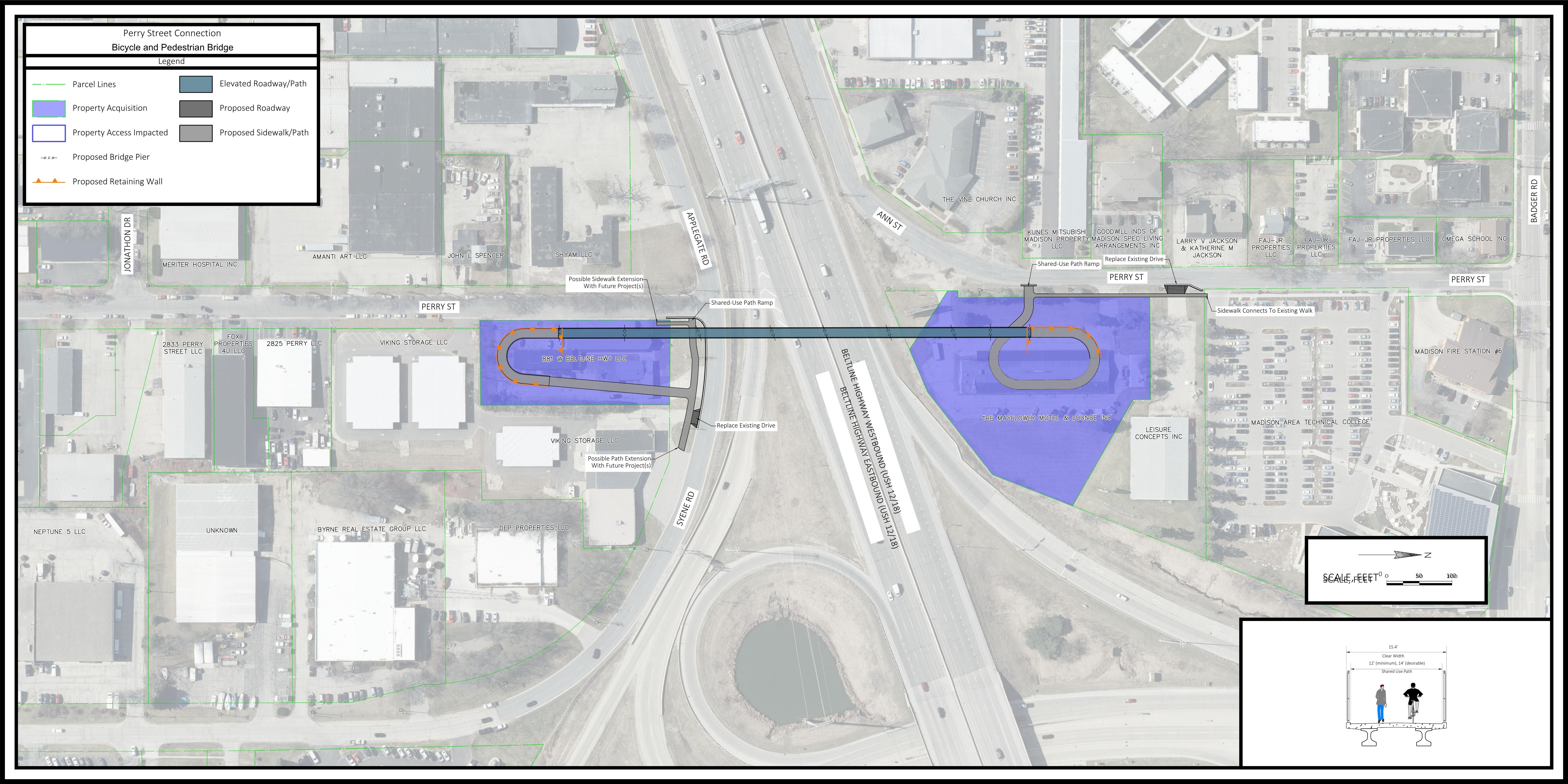
Este estudio explora formas de conectar comunidades al norte de la vía de circulación Beltline (Beltline Highway), cerca de la calle Perry (Perry Street), con oportunidades de empleo y servicios al sur de la Beltline, cerca de Perry Street.
Límites del proyecto
Calle Perry (Perry Street): desde W. Badger Road hasta Jonathon Drive
Carretera Syene (Syene Rd): desde Rolfsmeyer Drive hasta Applegate Road

Por favor, tómese un momento para responder las preguntas a continuación. Su opinión es muy valiosa y ayudará a guiar el rumbo del proyecto.
Límites del proyecto
Calle Perry (Perry Street): desde W. Badger Road hasta Jonathon Drive
Carretera Syene (Syene Rd): desde Rolfsmeyer Drive hasta Applegate Road

Por favor, tómese un momento para responder las preguntas a continuación. Su opinión es muy valiosa y ayudará a guiar el rumbo del proyecto.
