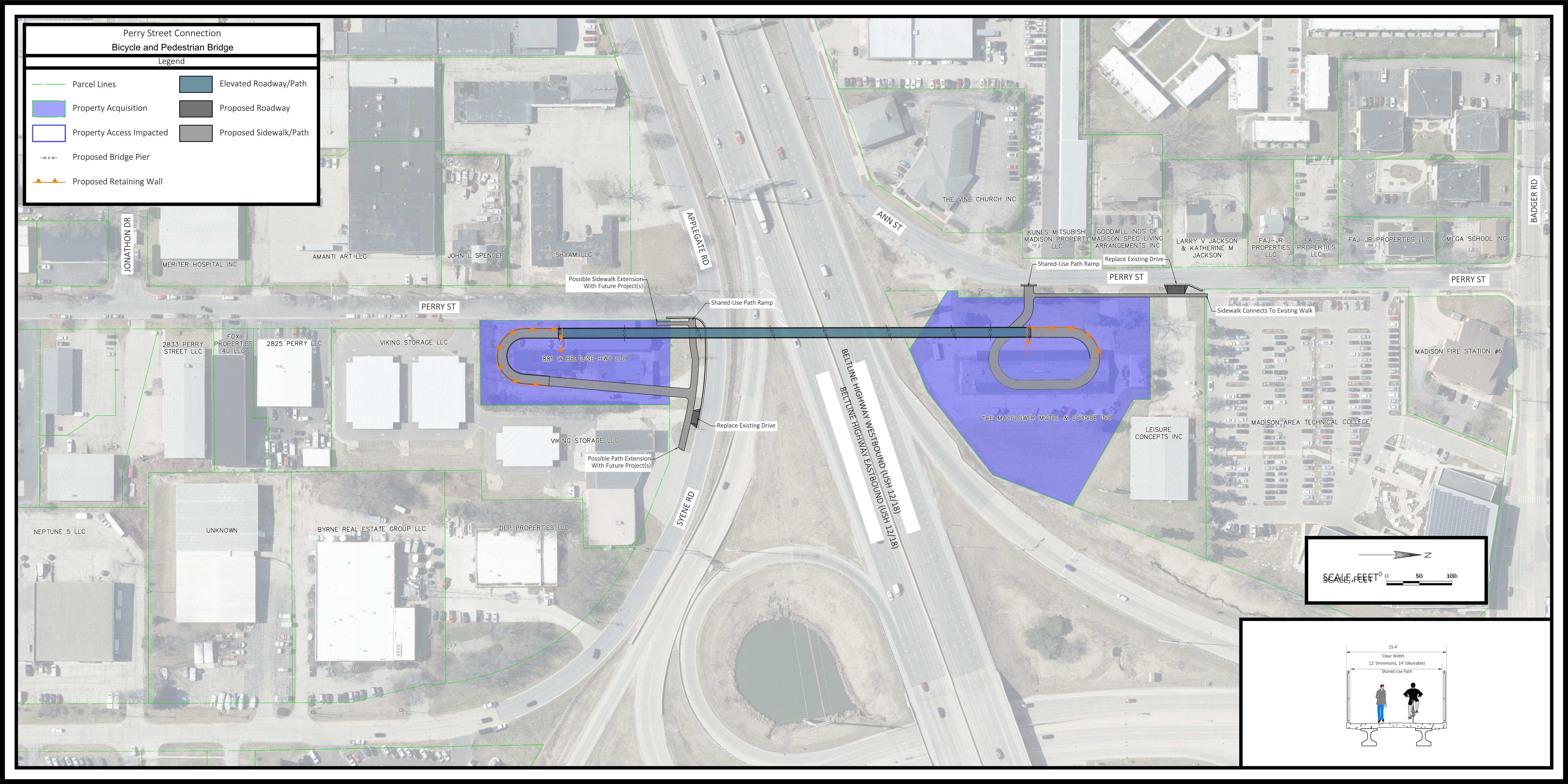
This study is exploring ways to connect communities north of the Beltline Highway near Perry Street with employment opportunities and services south of the Beltline Highway near Perry Street.
Project Limits
Perry Street – W. Badger Road to Jonathon Drive
Syene Road – Rolfsmeyer Drive to Applegate Road

Please take a few moments to answer the questions below. Your input is greatly appreciated and will help shape the direction of the project.
Project Limits
Perry Street – W. Badger Road to Jonathon Drive
Syene Road – Rolfsmeyer Drive to Applegate Road

Please take a few moments to answer the questions below. Your input is greatly appreciated and will help shape the direction of the project.
